Rendezvous is a 1988 Ocean Alexander 420 Sundeck motor yacht. She became part of our family in November of 2018. After 25+ years sailing, we decided to move to power (see Sailing Towards Power) to allow for a bigger platform for more projects and experimentation, while being able to go further in our cruising grounds of Puget Sound and the Salish Sea.
She is setup to accommodate 4 adults over night very comfortably, but in a pinch can handle more, especially for day cruising. With a queen master, v-berth, spacious salon, galley, and dinette, interior space is setup to allow for comfort while underway and at anchor. Outdoors, there is a big sun deck, and a covered flybridge with tons of seating.
There’s also a Highfield 10′ aluminum bottom dinghy with 15HP engine that scoots along at 20 knots when you need to go exploring.

Specifications
- Length: 42′ LWL / 46′ LOA
- Beam: 13 feet 11 inches
- Dry weight: 27,000 pounds
- Engines: Dual Volvo Penta TAMD 61A 310HP with intercooler, aftercooler and turbo
- Total horsepower: 620
- Cruising Speed: 11 knots
- Maximum Speed: 20 knots
- Fresh Water Tank: 150 Gallons
- Fuel Tank: 300 Gallons
- Holding Tank: 35 Gallons
Projects
Completed Projects 2019
- Vesper Cortex VHF / AIS
- NMEA 2000 connected Raspberry Pi for SignalK monitoring
- Furuno SCX-20 Satellite Compass
- Internet setup for 2020
- LiFePO4 house battery bank, new alternators, Victron inverter + system
- Wakespeed regulators
- Docking and engine room cameras
- New engine start and generator AGM batteries
- Peplink MAX transit LTE router
- weBoost LTE amplifier with Wilson antenna
- MikroTik Groove WiFi booster
- Intel NUC Linux system running SignalK
- NMEA 2000 network
- Ethernet network
- Yacht Devices temp/humidity sensors
- Yacht Devices Gateway
- Actisense EMU-1 NMEA 2000 engine monitor
- Maretron DSM150 display
- Digital Yachts AIT2500 AIS Class B+ transponder
- Rose Point Nemo gateway
- Furuno TZT2 MFDs
- Furuno DRS4D-NXT radar
- Furuno RD-33 and FI-70 displays
- Furuno NavPilot 300 auto pilot
- AXIS camera server with docking and engine room cameras
- Furuno FM-4800 VHF radio
- New LED lighting everywhere
- Ultrasonic diesel tank sensor
- Radar & navigation light mount
- LCJ Capteurs Ultrasonic wind sensor
- Aqua Signal LED navigation lights
- Fusion radio & speakers
- Rocna anchor
- Mantus chain hook and dbRopes bridle
Future Projects
- New TV / mount / sound bar
- Fuel flow monitoring system
- Various dimmers for lights outside/inside
- New smoke / CO2 alarm system
- Rebuild captains chairs in flybridge

Network

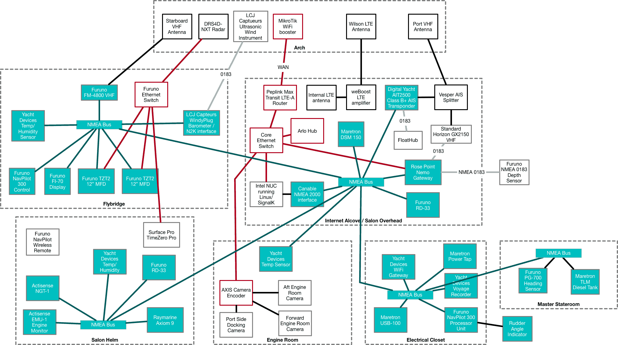
You can read more specifics about my extensive network at Rendezvous Initial Networks.
Virtual Walk Through

Enter via a large swim step with the 10′ Highfield dinghy and outboard held in place by a SeaWise davit system. The cockpit has space for line handline, buoy storage, and a lazarette with tons of storage.

Up from the cockpit is the open sun deck – one of the most requested things by the crew. I tend to like being under cover most of the time, as I get burned easily. The rest of the crew likes the sun when we’re at anchor or even underway, and this big open space will be excellent for them. I really like the clear plastic surround instead of canvas or something obscuring so you can continue to enjoy the views!

Above the sun deck is a beautiful arch that is motorized, and lowers down to the deck for storage. I plan on using that feature to allow me to add/remove antennas, test devices, and tons of other stuff without dealing with a ladder. I’ve upgraded everything up here in the last few months to include a new Furuno DRS4D-NXT radar, Wilson LTE antenna, MikroTik Groove WiFi booster, LCJ Capteurs Ultrasonic wind sensor, and LED navigation lights.

My favorite place to drive is from the flybridge. Not only is visibility amazing, but it is very comfortable, and has plenty of electronics. There’s also plenty of storage near the electronics, and two great chairs to hang out in while underway.

There’s a large couch behind the chairs, and a lounge/couch area on the starboard side.

I recently replaced all of the electronics here, and added a lot more. I chose to go with Furuno TZT2 displays along with a NavPilot 300 and an FI-70 display. There’s control of the windlass, trim tabs, and various lights and items, plus of course an entire set of engine controls and gauges.

The entire deck is enclosed with high railings, with walkable side decks up from the sun deck to the bow. The bow has a lot of space and a nice speedy Maxwell windlass along with the usual deck wash down.

Looking back at the flybridge, you can see the full enclosure and big windows below into the salon.

Heading back to the sun deck, through the door down into the main salon area.

The main salon area has an L-shaped couch with a nice height adjustable teak/glass table. One of the things I love about the main area is all of the low windows which let you see out even while sitting. For someone who gets seasick easily, that is super nice.

Just to the right of the salon couch is a breakfast bar with stools, and an amazing ice maker that makes some of the coldest ice I have ever had. That is critical for cocktails!

Further to the right is the salon driving station with even more engine instrumentation, autopilot, chartplotter, and pretty wood wheel.

Stepping down forward from the salon, to the right is the 4 person dinette, which has a hidden second freezer underneath the seat for longer trips.

To the left is the galley which has a bunch of great counter space, drawers galore, stove and oven, and a Sea Freeze fridge/freezer, plus a hidden away microwave.

Just forward of the galley and dinette is the v-berth and guest/day head. Even more storage up here, with a hanging locker for guests and plenty of drawers.

Heading aft out of the salon and down into the master island queen bedroom. Even more drawers, two huge hanging closets, storage shelves, a vanity, and an en-suite head and shower on the port side.

She has a good electrical setup with a well labeled panel and even some spare spots left over for new toys!

The salon floor comes up if you want to access the whole engine room, but there are also two stairways that fold up to give you quick access.

Two Volvo Penta TAMD 61A 310HP engines purr away quietly underneath the salon floor. There’s also a watermaker, Webasto diesel heater, Victron 3000W inverter/charger, water heater, engine/house/generator batteries, and much more.

An Onan 9kw GenSet is also in the engine room and helps keep all of my toys up and running.

She has double-chine semi-displacement hull, and seems to do well cruising along at 8 knots in displacement mode, or getting up on plane at 16 knots when you need to get out of the way of an oncoming ferry.

Original Listing Details below:
Accommodations
Salon:
- Large Open Salon
- L Shaped Settee to Port
- Settee Converts to Full Size Berth
- Storage Under Settee
- Teak Hi-Lo Table
- Teak Parquet Flooring
- Salon Carpeting
- Breakfast Bar
- Salon Stools for Breakfast Bar
- Salon Ice Maker – Sea Freeze
- Large Salon Windows
- Webasto Diesel Furnace Control
- Lower Helm station
- TV with Intellian satellite system
Master Stateroom:
- Queen Size Walk Around Berth
- Teak Cabinetry
- Chest of Drawers to Starboard
- Storage Above Drawers
- Starboard Forward Full Length Locker with Shelves
- Port Side Vanity with Fold Away Stool
- Storage Port Side
- Aft Port Side Corner Locker
- Full Length Hanging Locker – Port Side Forward
- Teak Privacy Door from Salon
- Aft Large Opening Hatch
- Access to Master Head
- Overhead Lighting
- Reading Lights
- Night stands with Power Outlets
Master Head:
- Vac-u-Flush Toilet
- Sink with Hot/Cold Faucet
- Under Sink Storage
- Medicine Cabinet with storage
- Stall Shower
- Opening Portlight
V-berth Stateroom:
- Port & Starboard Single Bunks
- Storage Under Port Bunk
- Chest f Drawers Under Starboard Bunk
- Large Hanging Locker
- Overhead Hatch
- Power Outlets
- Access to VIP / Day Head
- Teak Privacy Door
VIP / Day Head:
- Vac-u-Flush Toilet
- Sink with Hot/Cold Water Faucet
Flybridge / SunDeck:
- Large Flybridge
- Dual Helm Chairs
- Settee to Starboard
- Aft Bench
- Storage Under Bench
- Storage Under Helm
- Large Open Sundeck
- Access to Side Decks
Galley
- Updated Sea-Freeze Refrigerator with Larger Capacity
- 3 Burner Stove with Oven
- Microwave
- Stainless Steel Sink with Faucet
- Large Counter Space
- Under Counter Storage
- Opening Portlight
- Fan
- Bright and Open
Galley Dinette:
- Seating for 4
- Teak Table
- Additional Freezer Under Dinette
- Storage Drawers under Dinette
- Storage Under Forward Cushions
Electronics
Upper Helm:
- Furuno NavNet Multi Function Display
- Furuno Radar
- Furuno Auto-Pilot
- Furuno Chartploting GPS
- Furuno Sonar
- Furuno RD-33
- Standar Horizon GX2150 VHF
- AIS
- Windlass Control
- Trim Tab Controls
Lower Helm:
- Northstar Chartplotter
- Furuno Auto-Pilot
- Furuno RD-33
- Standard Horizon VHF
- Watermaker Control Panel
- Weather Station
- Windlass Control
- Trim Tab Controls
Audio Visual Electronics:
- New Intellian SAT TV Dome
- Salon Flat Panel TV
- Pioneer AM/FM CD Player
- Speakers in Master, Salon and v-berth
Electrical
- 30 Amp Shore power Connection
- 30 Amp Shoere power Cord
- Onan 8kW Generator
- Magnum 2500W Inverter
- NEW Batteries in 2018
- 6V Batteries in Series for Inverter
- 8D Start Batteries
- 4D Generator Start Battery
- AC/DC Distribution Panel
Deck
- 3/4 Canvas Enclosure on Bridge
- Large Sundeck
- Folding Arch for Low Clearance Moorage
- NEW carpet on Sundeck
- Canvas Covers for Flybridge Upholstery
- Canvas Covers for Windshield and Side Windows
- Sun Screen Covers for Windshield and Side Windows
- Windlass
- Forward Fresh Water Washdown
- Cockpit
- Teak Deck in Cockpit
- Teak Caprail with Covers
- Swim Step
- Sea-Wise Davit
- Trim Tabs
- Stern Shore Tie Reels with Rope
- Stern Anchor
Additional Units Included
- 2016 Highfield Dinghy and 15HP Mercury EFI 4-stroke engine